Sign up
Log in
Results
View all 5 pictures

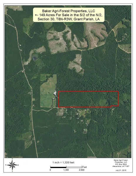
Dartigo Tract

Tract is located outside of Colfax. The timber is a natural mixed hardwood and pine stand. Recreational tract with timber investment, rural homesite, and development potential.

From elevation to risk assessment

Search for detailed parcel information including; Elevation & Vegetation Maps, Ownership Information, Detailed Parcel Information, Crop History Map, Soil Survey Productivity Data, and more.

Research Parcel Information

Resources

Links
Property Website
Contact Seller

Baker Agri-Forest Properties, LLC

Alexandria, LA

(318) 333-3669