Sign up
Log in
Results
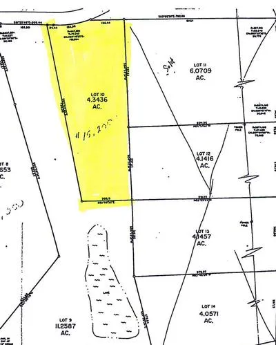
View all 1 pictures

4.34 Acres in Altamont, TN - $15,200

Restricted to Site Built Homes. Min. square footage has not been determined yet. Very Nice property. Plat is attached. Taxes TBD .City Water at the road.

MLS# 1332169

Read More

From elevation to risk assessment

Search for detailed parcel information including; Elevation & Vegetation Maps, Ownership Information, Detailed Parcel Information, Crop History Map, Soil Survey Productivity Data, and more.

Research Parcel Information

Directions

From Monteagle take Hwy. 41 to Tracy City. Turn left at first red light stay on Hwy 56 to Altamont. Turn left on Hwy. 108 go about 7 miles Turn left onto Cabbage Patch Rd. Go about 2 miles ,Property will be on your left.

Contact Seller
Century 21 Coffee County Realty & Auction

License #255095

Manchester, TN

(931) 342-4806