Sign up
Log in
Results
View all 1 pictures

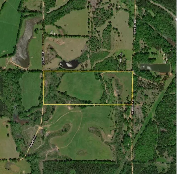
Sawyerville Johnson Road Hayfield/Pasture Homesite

This hay field/pasture and homesite is located in Sawyerville and features road frontage on Johnson Road and Pintail Road. The property consists of 45+/- acres of good hay land that could be turned into pasture for cows and/or horses and 11+/- acres of tree lines for hunting. This could also be a beautiful homesite for your next home! Call Monroe Payne at 205-652-3333 for more information! Pictures coming soon!

From elevation to risk assessment

Search for detailed parcel information including; Elevation & Vegetation Maps, Ownership Information, Detailed Parcel Information, Crop History Map, Soil Survey Productivity Data, and more.

Research Parcel Information

Directions

Contact us for property location details.

Resources

Links
Property Website
Contact Seller
National Land Realty

Tuscaloosa, AL

(205) 652-3333

Provided By

National Land Realty, (205) 652-3333
Listing last updated: February 6, 2022 at 2:50 AM
Report this listing

More by Monroe Payne