Sign up
Log in
Results
View all 8 pictures

Is this your property? Sell it faster with premium placement and targeted ads.

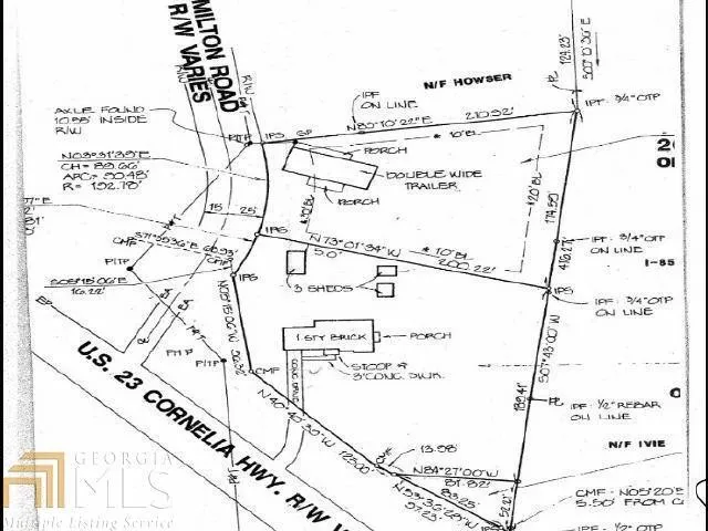
COMMERCIAL - Gainesville, GA

CORNER LOT! SURROUNDED BY H-B ZONING, 442 FT OF ROAD FRONTAGE, WATER & SEWER AVAILABLE. FRONTS JESSE JEWELL AND HAMILTON RD, BOTH PARCELS ARE SOLD TOGETHER. (2208 HAMILTON RD & 2285 JESSE JEWELL) CONVENIENTLY LOCATED JUST OFF OF I-985 @ EXIT 24.

Copyright © 2025 Georgia Multiple Listing Service. All rights reserved. All information provided by the listing agent/broker is deemed reliable but is not guaranteed and should be independently verified.

Read More

From elevation to risk assessment

Search for detailed parcel information including; Elevation & Vegetation Maps, Ownership Information, Detailed Parcel Information, Crop History Map, Soil Survey Productivity Data, and more.

Research Parcel Information
Contact Seller

Keller Williams Lanier Partners

Gainesville, GA

(678) 316-6262

Pat Burke

Keller Williams Lanier Partners
View Phone Number
i
By clicking the button, you agree to our Terms of Use and Privacy Policy.

Is this your property? Sell it faster with premium placement and targeted ads.