Sign up
Log in
Results
View all 8 pictures
Off Market
$196,000

Quanah, TX 79252(Hardeman County)

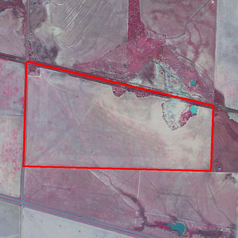
Size: 280 Acres

280 Acres in Quanah, TX - $196,000

Farm Land

280 +/- Acres

Hardeman County, TX

This property is primarily a dryland field, with approximately 15 acres of mesquite pasture on its north side. There is a large water tank in this pasture, which collects rain runoff and holds water most of the year. It could be stocked with fish for sport, and provides a good dove hunting place too.

The property has frontage on FM 2006, which is a paved public road. A rural water meter is already in place in a cattle trap in the northwest corner. The fences are in fair-good condition around the perimeter.

The field is currently planted in wheat, but could also grow oats, milo, or could be sprigged in coastal bermuda grass for a grazing pasture. The farm has traditionally been used for winter grazing for the owner's cattle.

Asking Price: $700/acre (includes some mineral rights)

Call agent Ben Belew at cell phone (940) 357-9940 for m...

Read More

From elevation to risk assessment

Search for detailed parcel information including; Elevation & Vegetation Maps, Ownership Information, Detailed Parcel Information, Crop History Map, Soil Survey Productivity Data, and more.

Research Parcel Information

Resources

Contact Seller

Legacy Properties

License #9005103

Vernon, TX

(940) 357-9940