Sign up
Log in
Results
View all 1 pictures
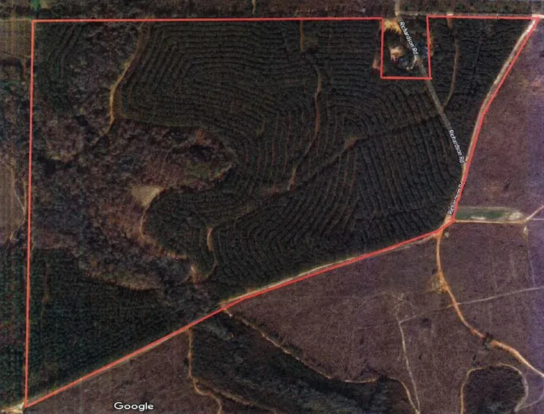
Size: 115.84 Acres

Richardson Rd Elko, GA 31025 115.84 AC Land For Sale

This 115.84 acre tract on Richardson Road contains various types of timber. The majority is pine pulpwood and the remaining timber is pine chip/saw, hardwood pulpwood, pallet wood and various logs. Electricity is available and the tract is zoned as R-AG.

From elevation to risk assessment

Search for detailed parcel information including; Elevation & Vegetation Maps, Ownership Information, Detailed Parcel Information, Crop History Map, Soil Survey Productivity Data, and more.

Research Parcel Information
Contact Seller
Coldwell Banker Commercial The Free Group

Warner Robins, GA

(478) 245-4196