Sign up
Log in
Results
View all 12 pictures
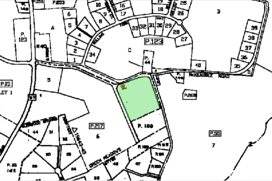
Size: 10.02 Acres

Approved House of Worship 10-acre Building site.

Located in Howard County, close to Rte 97 and 10 minutes from Columbia, this parcel has the benefits of Howard County schools, as well as the quiet and beauty of a rural location. It is suitable to build a home and/or establish a farm. Additionally, the site could be a candidate for subdivision into three residential lots (a land use attorney should be consulted for verification). The 10.02-acre parcel is zoned RR-DEO (rural residential--density exchange), and requires well and septic.

The current property owner had previously taken the property through the process of obtaining approval to build a house of worship, with significant cost invested. The approval is still valid, and buyers can obtain additional information by visiting PraiseBuildings for more details.

Read More

From elevation to risk assessment

Search for detailed parcel information including; Elevation & Vegetation Maps, Ownership Information, Detailed Parcel Information, Crop History Map, Soil Survey Productivity Data, and more.

Research Parcel Information
Contact Seller

Maryland Land Real Estate Advisors

License #6087

Ellicott City, MD

8669105263