Sign up
Log in
Results
View all 14 pictures

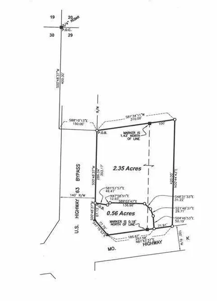
0.56 Acres in West Plains, MO - $310,000

.Income producing investment property for sale in West Plains, Missouri. 1045 sq ft restaurant with direct highway frontage and excellent visibility is situated adjoining hotel in Southern Missouri. Erected in 1996 and currently occupied by established corporate client with long term lease. 1 acre property in West Plains, MO 65775 with commercial road frontage. More detailed information is available to qualified buyers by contacting Verdis at 417.650.7421 / [Email listed above]

From elevation to risk assessment

Search for detailed parcel information including; Elevation & Vegetation Maps, Ownership Information, Detailed Parcel Information, Crop History Map, Soil Survey Productivity Data, and more.

Research Parcel Information

Environmental Factors

Flood Factor ™
/ 10
Fire Factor ™
/ 10
Heat Factor ™
/ 10
Wind Factor ™
/ 10
Source:First Street
Contact Seller
Mossy Oak Properties Mozark Realty

Poplar Bluff, MO

(573) 245-1026

Provided By

Mossy Oak Properties Mozark Realty, (573) 245-1026
Listing last updated: February 4, 2022 at 9:14 AM
Report this listing

More by Mossy Oak Properties Mozark Realty