Sign up
Log in
Results
View all 1 pictures

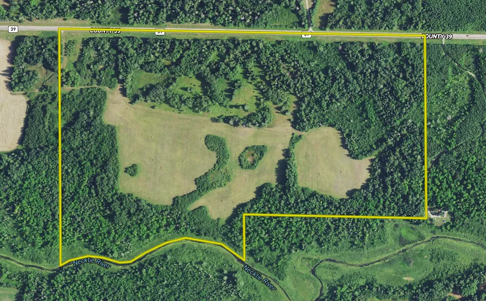
Beautiful Property Located NE Of Laporte On The Necktie River

Beautiful property located NE of Laporte on the Necktie River.

From elevation to risk assessment

Search for detailed parcel information including; Elevation & Vegetation Maps, Ownership Information, Detailed Parcel Information, Crop History Map, Soil Survey Productivity Data, and more.

Research Parcel Information

Resources

Links
Property Website
Contact Seller
Whitetail Properties Real Estate

Frazee, MN

(701) 367-2376

Provided By

Whitetail Properties Real Estate, (701) 367-2376
Listing last updated: March 22, 2025 at 4:48 AM
Report this listing

More by Jason Ziegler