Sign up
Log in
Results
View all 7 pictures
Size: 14.64 Acres

14.64 Acres in Winnemucca, NV - $35,000

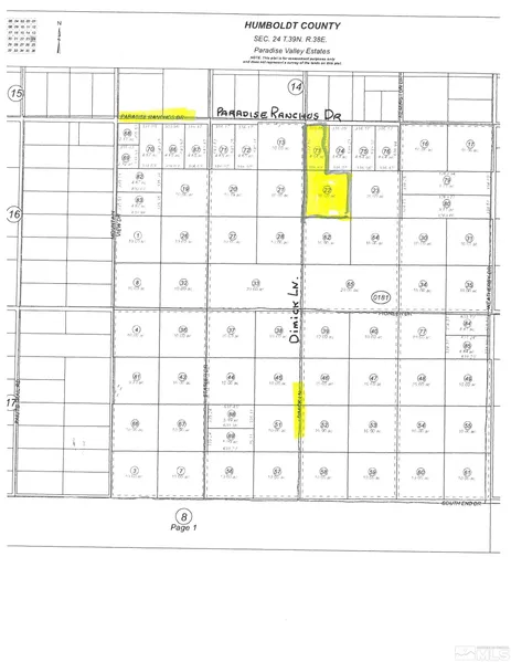
Very nice parcel of land located at the corner of Paradise Ranchos Dr. and Dimick Lane. The property for sale is two parcels APN # 06-0181-22 and 06-0181-73 for a total of 14.64 acres. The parcel that faces Paradise Ranchos Dr. has a well on the property. The power line runs in front of that parcel and is less that 100 feet from the property line. Paradise Ranchos Dr. that runs in front of the property APN # 06-0181-73 is paved and Dimick Ln that runs on the side of the property is gravel.

From elevation to risk assessment

Search for detailed parcel information including; Elevation & Vegetation Maps, Ownership Information, Detailed Parcel Information, Crop History Map, Soil Survey Productivity Data, and more.

Research Parcel Information
Contact Seller

CENTURY 21 Sonoma Realty

Winnemucca, NV

(775) 421-8400

Provided By

CENTURY 21 Sonoma Realty, (775) 421-8400
Source: Century 21, MLS# 220001498
Listing last updated: March 17, 2022 at 11:12 AM
Listing last checked: October 10, 2025 at 5:30 AM
Report this listing

Other Land for Sale in Humboldt County