Sign up
Log in
Results
View all 2 pictures

Is this your property? Sell it faster with premium placement and targeted ads.

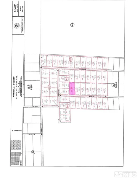
LAND - Winnemucca, NV

Great building lot with views fo the valley below. The parcel has all underground utilities, power, gas, and phone to the front of the property. The owners have reduced the price due to the issue of getting wells drilled in a timely manor. Please contact NV Energy for hook up information and cost to install power to the property and contact Southwest Gas for gas hook up cost.

Copyright © 2025 Northern Nevada Regional MLS, Inc. All rights reserved. All information provided by the listing agent/broker is deemed reliable but is not guaranteed and should be independently verified.

Read More

From elevation to risk assessment

Search for detailed parcel information including; Elevation & Vegetation Maps, Ownership Information, Detailed Parcel Information, Crop History Map, Soil Survey Productivity Data, and more.

Research Parcel Information
Contact Seller

Century 21 Sonoma Realty

License #BS.0040836

Winnemucca, NV

(775) 421-8400

Mitchell Bidart

Century 21 Sonoma Realty
View Phone Number
By clicking the button, you agree to our Terms of Use and Privacy Policy.

Is this your property? Sell it faster with premium placement and targeted ads.

Provided By

Century 21 Sonoma Realty, (775) 304-1161
Source: ListHub, MLS# 210010712
Listing status: Active
Listing last updated: October 29, 2025 at 2:02 AM
Listing last checked: October 28, 2025 at 10:38 PM
Report this listing

Other Land for Sale in Humboldt County