Sign up
Log in
Results
View all 1 pictures

Is this your property? Sell it faster with premium placement and targeted ads.

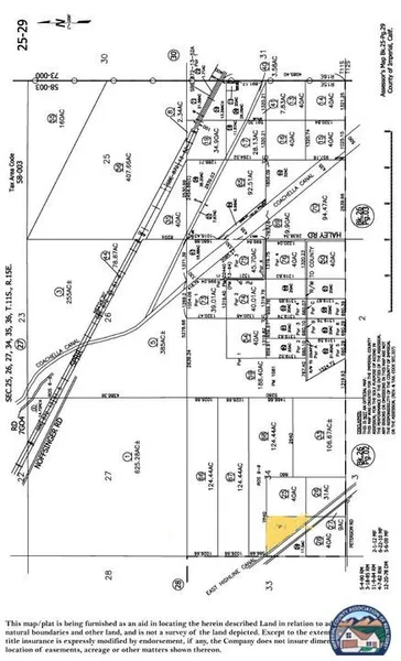
LAND - Calipatria, CA

Investment Opportunity available in Calipatria, also known as Lithium Valley. Secure your stake in California's energy future.. While certain uses are allowed within the S-2 Zone , such uses must be compatible with the intent of the Open Space & conservation Element of the general plan. See docs for zoning information and permitted uses in the S-2 zone. Buyer to verify all land use, zoning utility access and development potential with the appropriate agencies.

Copyright © 2025 Imperial County Association of Realtors®. All rights reserved. All information provided by the listing agent/broker is deemed reliable but is not guaranteed and should be independently verified.

Read More

From elevation to risk assessment

Search for detailed parcel information including; Elevation & Vegetation Maps, Ownership Information, Detailed Parcel Information, Crop History Map, Soil Survey Productivity Data, and more.

Research Parcel Information
Contact Seller

House And Commerce Real Estate

License #01461747

El Centro, CA

(760) 330-5763

Nancy Birger

House And Commerce Real Estate
View Phone Number
By clicking the button, you agree to our Terms of Use and Privacy Policy.

Is this your property? Sell it faster with premium placement and targeted ads.

Provided By

House And Commerce Real Estate, (760) 4421900
Source: ListHub, MLS# 25571203IC
Listing status: Active
Listing last updated: December 2, 2025 at 10:38 PM
Listing last checked: December 2, 2025 at 9:30 PM
Report this listing

Other Land for Sale in Imperial County