Is this your property? Sell it faster with premium placement and targeted ads.
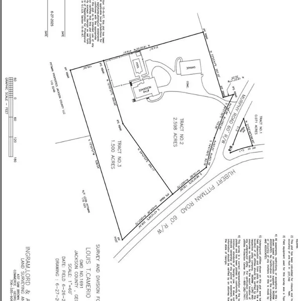
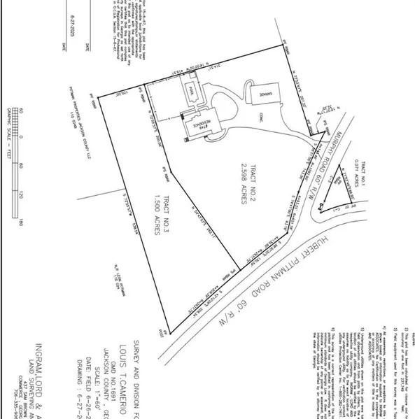
Beautiful 1.5-Acre Lot with Septic Installed - Jackson County, GA Please read the entire description. Build your dream home or investment property on this beautiful 1.5-acre tract (Tract 3) located in highly sought-after Jackson County, Georgia. This spacious, cleared, and gently sloping lot offers a peaceful, private setting while remaining convenient to schools, shopping, and major commuter routes. A septic tank has been installed, providing an excellent head start for future construction. Buyer will be responsible for verifying that the septic system is in working order, as the seller has not used it during ownership. Please see the photo of the plat included in the listing, as Jackson County has not yet updated the current tract information in its public records. This 1.5-acre parcel is part of a larger estate offering multiple purchase options: Tract 3 Only (1.5 acres with septic): ...
Beautiful 1.5-Acre Lot with Septic Installed - Jackson County, GA Please read the entire description. Build your dream home or investment property on this beautiful 1.5-acre tract (Tract 3) located in highly sought-after Jackson County, Georgia. This spacious, cleared, and gently sloping lot offers a peaceful, private setting while remaining convenient to schools, shopping, and major commuter routes. A septic tank has been installed, providing an excellent head start for future construction. Buyer will be responsible for verifying that the septic system is in working order, as the seller has not used it during ownership. Please see the photo of the plat included in the listing, as Jackson County has not yet updated the current tract information in its public records. This 1.5-acre parcel is part of a larger estate offering multiple purchase options: Tract 3 Only (1.5 acres with septic): $148,900 Home + Detached 4-Bay Shop on Tract 2 (2.598 acres): $948,600 Bundled Option - Home, Shop & Both Tracts (Total 4.098 acres): $1,098,500 Each option provides outstanding flexibility and value-buy just the lot, or combine both tracts to create your own multi-generational retreat, business-ready property, or private family compound. This is a rare opportunity to secure a ready-to-build lot with improvements already in place in one of Jackson County's most desirable areas. All information should be verified by the buyer. Contact the listing agent for additional details or to explore all available configurations.
Copyright © 2026 First Multiple Listing Service, Inc. All rights reserved. All information provided by the listing agent/broker is deemed reliable but is not guaranteed and should be independently verified.
Search for detailed parcel information including; Elevation & Vegetation Maps, Ownership Information, Detailed Parcel Information, Crop History Map, Soil Survey Productivity Data, and more.
Research Parcel InformationIs this your property? Sell it faster with premium placement and targeted ads.