Sign up
Log in
Results
View all 2 pictures
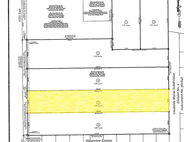
Size: 5.88 Acres

5.88 Acres in Rigby, ID - $189,000

NEW SUBDIVISION! Spacious lots in the country with city services and irrigation water rights. Covenants will be recorded to protect your property value. The county has approved the plat and the commissioners will be signing in January of 2022.

From elevation to risk assessment

Search for detailed parcel information including; Elevation & Vegetation Maps, Ownership Information, Detailed Parcel Information, Crop History Map, Soil Survey Productivity Data, and more.

Research Parcel Information
Contact Seller

ERA Archibald Real Estate

Rigby, ID

(208) 745-5911

Provided By

ERA Archibald Real Estate, (208) 745-5911
Source: ERA Real Estate, MLS# 2137257
Listing last updated: February 7, 2022 at 3:56 AM
Listing last checked: December 1, 2025 at 9:31 AM
Report this listing