Sign up
Log in
Results
View all 5 pictures

Is this your property? Sell it faster with premium placement and targeted ads.

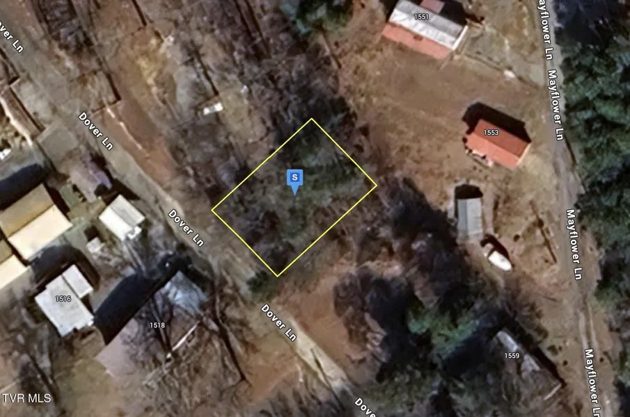
LAND - Dandridge, TN

Beautiful 4,000 sq ft wooded lot at Douglas Lake, offering stunning lake views and the perfect setting for your dream home or investment property. Well and septic are required, and with no HOA restrictions, you have the freedom to build your vision. Located on a paved road with community lake access, the property is ideal for enjoying boating, fishing, or relaxing by the water. Just a short drive to Gatlinburg, Asheville, Pigeon Forge, and downtown Dandridge, this lot combines peaceful lake living with easy access to shopping, dining, and entertainment. With overnight rentals popular in the area, it also presents excellent potential for a vacation rental investment.

Copyright © 2025 Tennessee Virginia Regional Multiple Listing Service. All rights reserved. All information provided by the listing agent/broker is deemed reliable but is not guaranteed and should be independently verified.

Read More

From elevation to risk assessment

Search for detailed parcel information including; Elevation & Vegetation Maps, Ownership Information, Detailed Parcel Information, Crop History Map, Soil Survey Productivity Data, and more.

Research Parcel Information
Contact Seller

NNN Advisor, LLC

License #0727817

Heber City, UT

(303) 848-6215

Joel Hinckley

NNN Advisor, LLC
View Phone Number
By clicking the button, you agree to our Terms of Use and Privacy Policy.

Is this your property? Sell it faster with premium placement and targeted ads.

Provided By

NNN Advisor, LLC, (513) 653-3427
Source: ListHub, MLS# 9986274
Listing status: Active
Listing last updated: October 29, 2025 at 1:04 PM
Listing last checked: November 3, 2025 at 9:30 PM
Report this listing

Other Land for Sale in Jefferson County