Sign up
Log in
Results
View all 3 pictures

Auction Information

Centra Credit Union
5530 S CR 600 W, North Vernon, IN
03/12/2013, 08:00 AM
External LinkOnline Bidding Site

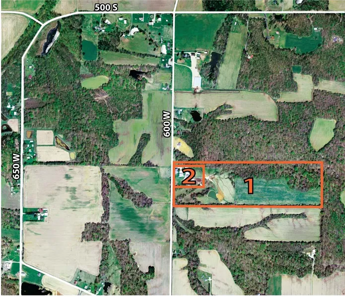
40 Acres in North Vernon, IN

Centra Credit Union Auction, Tuesday, March 12, 2013 at 6:30 PM EST

Lovett Township, Jennings County, Indiana

40 Acres in 2 Tracts, MODERN FARMHOUSE, MACHINE SHED, HORSE STABLE, INDOOR RIDING ARENA, CROPLAND, & POND

Auction , March 12, 2013 at 6:30 PM to be held on-site on Tract 2, 5530 S CR 600 W, North Vernon, IN 47265

OPEN HOUSE, February 17 and 24, 1:00-4:00 PM, 5530 S CR 600 W, North Vernon, IN 47265

Property is located southwest of North Vernon on CR 600 W, approximately .5 mile south of CR 500 S.

22.3+/- Tillable Acres, 12.6 Acres Wooded, 5 Acres Homesite

TRACT 1: 35+/- Acres, 22.33 Acres Tillable Cropland, 12.67 Acres Wooded

TRACT 2: 5+/- Acres, Home & Buildings, Remodeled 2-story home with 4,000 square feet, 3-car garage with apartment, 36 x 36 garage, 8-Bay Open Front Shed, Enclosed Stable with Riding Arena, 3,300 square foot Machine Shop with attached Shed and 8-Horse St...

Read More

From elevation to risk assessment

Search for detailed parcel information including; Elevation & Vegetation Maps, Ownership Information, Detailed Parcel Information, Crop History Map, Soil Survey Productivity Data, and more.

Research Parcel Information

Directions

Property is located southwest of North Vernon on CR 600 W, approximately .5 mile south of CR 500 S.

Resources

Contact Seller
Halderman Real Estate Services and Halderman Farm Management

Wabash, IN

(260) 250-2963

Provided By

Halderman Real Estate Services and Halderman Farm Management, (260) 250-2963
Listing last updated: February 2, 2022 at 11:17 AM
Report this listing

More by Pat Karst