Sign up
Log in
Results
View all 1 pictures
Size: 1.95 Acres

Is this your property? Sell it faster with premium placement and targeted ads.

Land - GALENA, IL

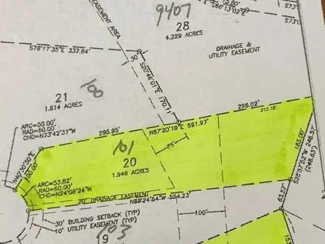
Lot 20 of Timp's Subdivision (Phase 2). Marie Court is off Louieville Court (off 5th Street) just east of downtown Galena. The lot slopes downhill. Electric, water, and sewer service are available for the lot but not currently connected. Buyer will need to confirm with Nicor whether natural gas is available at the lot. Covenants & Restrictions apply. (Note: Irregularly shaped lot. Left side measurements are the combination of multiple sides. Acreage from county records.) DIRECTIONS for Timp's Subdivision Phase 2: From Galena, head north on Park Avenue for 0.3 miles then turn right on Jackson. Follow Jackson for 0.1 miles and turn left on 5th Street. Follow 5th Street for 0.1 miles then turn right on Louieville Court. From east of Galena, head north on Powderhouse Hill Road for 0.7 miles then curve left onto 5th Street. Turn left onto Louieville Court after 0.1 miles.

Copyright © 2025 R...

Read More

From elevation to risk assessment

Search for detailed parcel information including; Elevation & Vegetation Maps, Ownership Information, Detailed Parcel Information, Crop History Map, Soil Survey Productivity Data, and more.

Research Parcel Information

Unlock the full LandWatch experience

Have an account?Sign In

Contact Seller

EAGLE RIDGE REALTY

License #475.102660

GALENA, IL

(815) 281-0693

ELTON SELF

EAGLE RIDGE REALTY
View Phone Number
i
By clicking the button, you agree to our Terms of Use and Privacy Policy.

Is this your property? Sell it faster with premium placement and targeted ads.

Provided By

EAGLE RIDGE REALTY, (815) 777-2800
Source: ListHub, MLS# 202104428
Listing status: Active
Listing last updated: October 15, 2025 at 5:37 AM
Listing last checked: October 15, 2025 at 5:30 AM
Report this listing

Other Land for Sale in Jo Daviess County