Bendix Creek, a 152-acre property nestled in Northwest Kemper County, offers a blend of natural features ideal for both recreational and timber investment purposes. The landscape includes frontage along two sides of Bendix Creek, enhancing its scenic appeal and potential for outdoor activities. The timber makeup of the property consists of 107 acres of two year replanted pines, providing excellent cover habitat and browse for wildlife. Additionally, the presence of hardwood Stream-side Management Zones creates essential wildlife travel corridors, enriching the biodiversity of the area. One notable feature is the high ridge located on the southern end of the tract, offering an ideal location for the construction of a cabin or lodge. This elevated position not only provides panoramic views but also ensures proximity to available electric and water services. Moreover, the gentle slope of ...
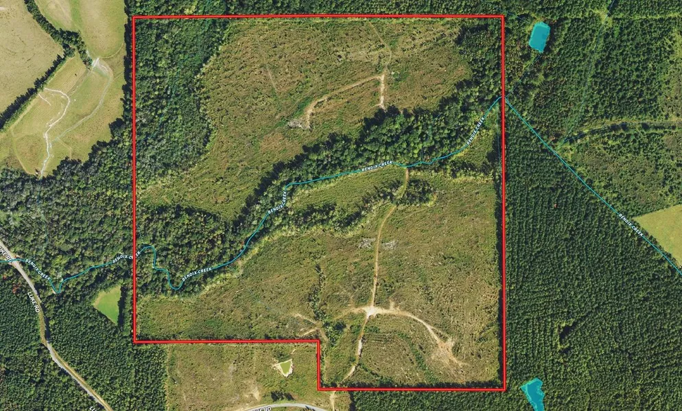
Bendix Creek, a 152-acre property nestled in Northwest Kemper County, offers a blend of natural features ideal for both recreational and timber investment purposes. The landscape includes frontage along two sides of Bendix Creek, enhancing its scenic appeal and potential for outdoor activities. The timber makeup of the property consists of 107 acres of two year replanted pines, providing excellent cover habitat and browse for wildlife. Additionally, the presence of hardwood Stream-side Management Zones creates essential wildlife travel corridors, enriching the biodiversity of the area. One notable feature is the high ridge located on the southern end of the tract, offering an ideal location for the construction of a cabin or lodge. This elevated position not only provides panoramic views but also ensures proximity to available electric and water services. Moreover, the gentle slope of the ridge descends into the hardwood creek bottom, further enhancing the property's natural beauty. Situated 17 miles northeast of Philadelphia and 14 miles northwest of DeKalb, Bendix Creek enjoys a convenient location with access to nearby amenities while maintaining a tranquil rural atmosphere. Access to the property is facilitated via an easement off Luke Road, a paved county road. Overall, Bendix Creek presents a unique opportunity for those seeking a blend of natural beauty, recreational opportunities and potential timber investment in the heart of Kemper County's picturesque landscape.
Search for detailed parcel information including; Elevation & Vegetation Maps, Ownership Information, Detailed Parcel Information, Crop History Map, Soil Survey Productivity Data, and more.
Research Parcel Information