Sign up
Log in
Results
View all 5 pictures
Size: 160 Acres

Auction Information

Keokuk Co., IA - 180 Ac. (180-0015)
American Legion, 105 N. Irons St., Keswick, IA
03/22/2018, 10:00 AM

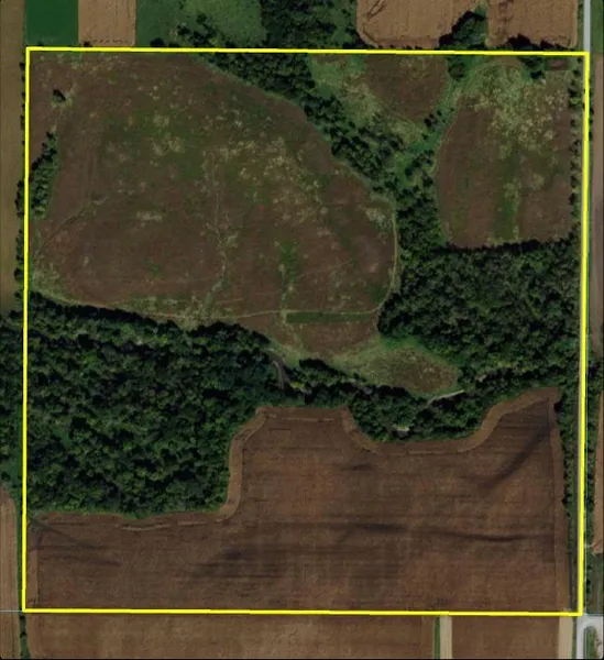
Keokuk Co., IA - 160 Ac. (180-0015-2)

AUCTION - Thursday, March 22, 2018 at 10:00 a.m. in Keswick, Iowa

Parcel 2 of 2: 160 acres, m/l, consisting of 112.12* FSA crop acres with CSR2 rating of 66.5. *67.59 acres enrolled in CRP contracts.

Building Description(s)

16' x 28' Shed

Read More

From elevation to risk assessment

Search for detailed parcel information including; Elevation & Vegetation Maps, Ownership Information, Detailed Parcel Information, Crop History Map, Soil Survey Productivity Data, and more.

Research Parcel Information

Directions

From Keswick: 1 mile west on Hwy. 22, then 1 mile north on 180th Ave. The farm is located on the west side of the road.

Resources

Contact Seller
Hertz Real Estate Services

License #doug.hensley@hertz.ag

Nevada, IA

(309) 326-7672

Provided By

Hertz Real Estate Services, (309) 326-7672
Listing last updated: February 5, 2022 at 8:43 AM
Report this listing

More by Hertz Real Estate Services