Finance for just $ 350 Down and $ 153.01 A Month No Credit check ! Great Lot in the Central, Developing Part of California City. Ready to Build On or hold for investment as this area continues to grow. California City has seen a construction and values boom in the past few years as people make this affordable SoCal destination home. It is often in the top 20 fastest growing cities in California. In the past decade the city has made tremendous investments in new schools, trails, and public safety. This area is also home to automotive, aviation, cannabis, and solar industries. Nice homes right around this parcel, including just across the street and behind. There is a video of the property available if you scroll down. This property is available with Landed Ground Financing options, please see below.
Property Details:
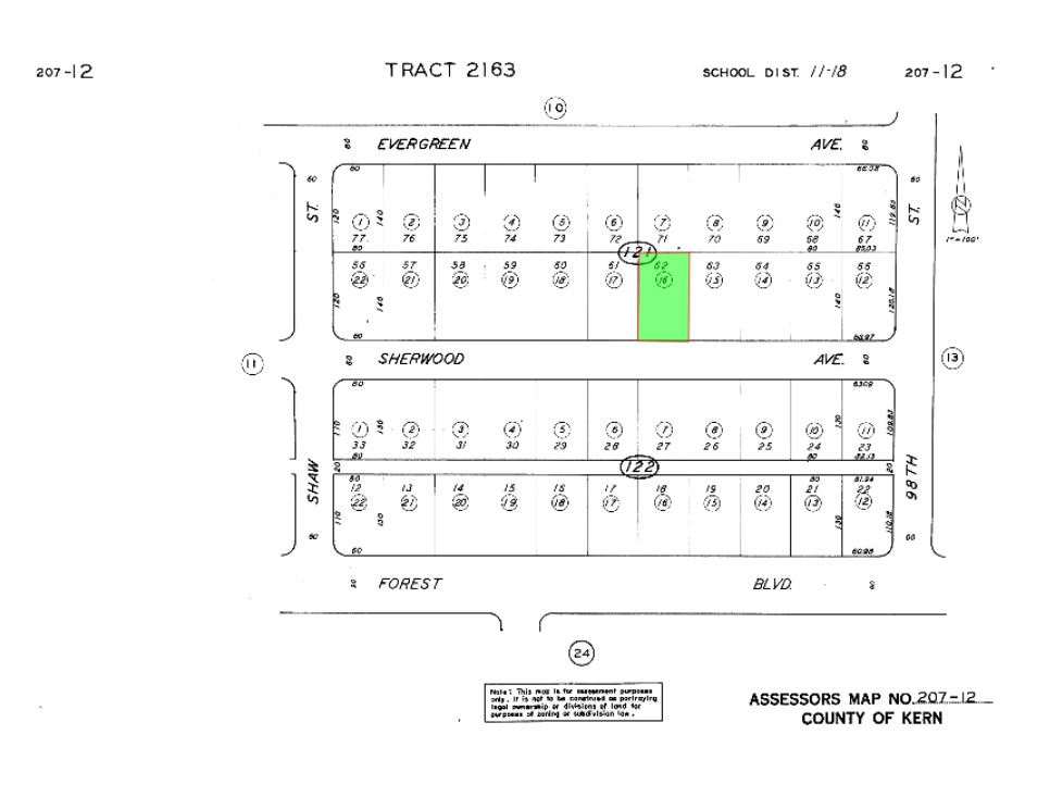
State: California
County: Kern
City: California City
Lega...
Legal: Lot 62 Tract 2163
Zoning: Residential
Water: City Water in Street (Buyer to Verify)
Sewer: Septic
Power: Power Lines At Back of Lot
Road: City Road To Property
Terrain: Level
Size: 11,325 Square Feet
Maps Location: Click Here
Purchase Options:
$ 7,950.-- Purchase Price
Or
Landed Ground Financing Available:
$ 7,950 Purchase Price: $ 350 Down And $ 153.01 A Month For 60 Months At 7.7% Interest
Learn More About Our Financing By Clicking On View Property Website below.
Search for detailed parcel information including; Elevation & Vegetation Maps, Ownership Information, Detailed Parcel Information, Crop History Map, Soil Survey Productivity Data, and more.
Research Parcel Information