This sale represents the opportunity for a strong row crop farm in a coveted agricultural area in Kingsbury County. The farm is free for possession for the 2024 crop year and is primarily made up of class I and II soils. The auction will be held live at the farm with online bidding available the day of the sale.
This high yielding corn and soybean farm is well located in a strong agricultural area in Kingsbury Co., SD. The primary soil present on the farm is Poinsett-Waubay Silty Clay Loams, and the land is predominantly made up of high producing class I and II soils with a soil rating of 80.2 on the recorded cropland acres, and a 79 rating on the entire farm. Per the FSA Office, the farm has 143.52 DCP cropland acres with a Corn PLC yield of 146 bu., and a soybean PLC yield of 40 bu. The farm currently has approximately 135 +/- acres under cultivation and shows potential for additional ...
This high yielding corn and soybean farm is well located in a strong agricultural area in Kingsbury Co., SD. The primary soil present on the farm is Poinsett-Waubay Silty Clay Loams, and the land is predominantly made up of high producing class I and II soils with a soil rating of 80.2 on the recorded cropland acres, and a 79 rating on the entire farm. Per the FSA Office, the farm has 143.52 DCP cropland acres with a Corn PLC yield of 146 bu., and a soybean PLC yield of 40 bu. The farm currently has approximately 135 +/- acres under cultivation and shows potential for additional acres added into row crop production. The new buyer will receive full possession for this 2024 crop year. Dont miss this opportunity for a strong producing farm that will be an excellent addition to your land portfolio!
Search for detailed parcel information including; Elevation & Vegetation Maps, Ownership Information, Detailed Parcel Information, Crop History Map, Soil Survey Productivity Data, and more.
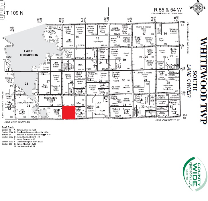
Research Parcel InformationFrom Oldham SD, 5 miles west on oil road 218th St. & 1.5 miles south on 440th Ave., or approx. 1 mile SE of Lake Thompson