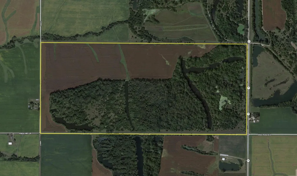
This one-of-a-kind property offers enough to keep the outdoorsman busy year-round! This farm has it all from extremely fertile tillable farmland, great deer, turkey, and waterfowl hunting, and excellent fishing and watersports opportunities. The tillable portion of the property offers approximately 91 acres currently being rotated between corn and soybeans. The predominant fertile soils on this part of the property consist of Ipava & Osco silt loams with an average productivity index over 135, which makes this farm an excellent producer with a steady yearly income! The balance of the land ranges from heavily brushy areas that hold deer to more open areas where food plots and box blinds would make excellent hunting locations! Another unique part of this property is the amount of water! There are numerous pockets of ponds and three larger lakes on the property, which are the perfect places...
This one-of-a-kind property offers enough to keep the outdoorsman busy year-round! This farm has it all from extremely fertile tillable farmland, great deer, turkey, and waterfowl hunting, and excellent fishing and watersports opportunities. The tillable portion of the property offers approximately 91 acres currently being rotated between corn and soybeans. The predominant fertile soils on this part of the property consist of Ipava & Osco silt loams with an average productivity index over 135, which makes this farm an excellent producer with a steady yearly income! The balance of the land ranges from heavily brushy areas that hold deer to more open areas where food plots and box blinds would make excellent hunting locations! Another unique part of this property is the amount of water! There are numerous pockets of ponds and three larger lakes on the property, which are the perfect places to fish, boat/kayak, camp, and waterfowl hunt! There are also numerous locations on the property to build your dream home, cabin, or machine shed for storage! Access to the property couldn’t be any better with highway and county road frontage. Call Whitetail Properties listing agents Brent Reneau or Clark Cummings today for more info!
Search for detailed parcel information including; Elevation & Vegetation Maps, Ownership Information, Detailed Parcel Information, Crop History Map, Soil Survey Productivity Data, and more.
Research Parcel Information