Sign up
Log in
Results
View all 2 pictures

Is this your property? Sell it faster with premium placement and targeted ads.

Land - Youngsville, LA

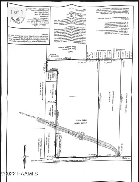
The first plat is the entire property and the second plat is what has been recently sold (lots 2-A & 2-B) & what is reserved (Lot 2-C), being the frontage up to the ditch, anything past the ditch is now listed for sale (lot 2-D). Property did not flood in 2016 and is zone X (not flood).

Copyright © 2026 Realtor Association of Acadiana. All rights reserved. All information provided by the listing agent/broker is deemed reliable but is not guaranteed and should be independently verified.

Read More

From elevation to risk assessment

Search for detailed parcel information including; Elevation & Vegetation Maps, Ownership Information, Detailed Parcel Information, Crop History Map, Soil Survey Productivity Data, and more.

Research Parcel Information
Contact Seller

Parish Realty Acadiana

Lafayette, LA

(337) 658-6508

Rachel Capritto

Parish Realty Acadiana
View Phone Number
By clicking the button, you agree to our Terms of Use and Privacy Policy.

Is this your property? Sell it faster with premium placement and targeted ads.