Sign up
Log in
Results
View all 46 pictures
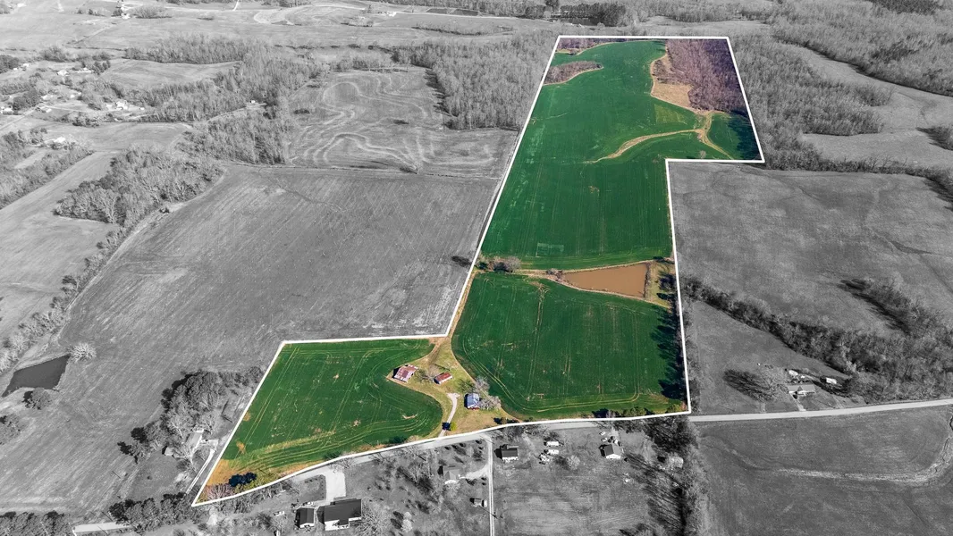
Size: 93.77 Acres

48 Idaho Rd. Leoma, TN

For Sale: 93-Acre Farm

Discover the perfect blend of agricultural potential and investment opportunity with this 93-acre farm. The property features 70 acres of level, tillable row crop land with excellent road frontage, ideal for farming or future development.

Key Features:

House - Has a renter

3-Bay Shed Perfect for equipment storage.

Barn & Pond Great for livestock or recreation.

13 Acres of Woods Ideal for hunting, timber, or nature lovers.

This property is a rare find with versatile uses, from farming to recreational enjoyment. Dont miss this unique opportunity!

Read More

Directions

Hwy 43, Turn Left on Rabbit Trail Rd, go for 4 miles and turn left onto Idaho Rd.

Contact Seller
of Southern Middle Tennessee

Lawrenceburg, TN

(931) 404-2797

Remax Pros

of Southern Middle Tennessee
By clicking the button, you agree to our Terms of Use and Privacy Policy.

Provided By

of Southern Middle Tennessee, (931) 404-2797
Source: MLS# 2805153
Listing last updated: May 23, 2025 at 7:41 AM
Report this listing

More by Remax Pros