Sign up
Log in
Results
View all 2 pictures

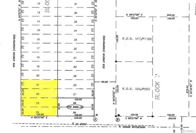
0 Acres in Napavine, WA - $59,900

Level, wooded lot with total of 3 parcel numbers included, 008358034000, 008358033000 and 008358032000. Sewer, water, and power in street. Corner lot, paved street. Large fir trees!

From elevation to risk assessment

Search for detailed parcel information including; Elevation & Vegetation Maps, Ownership Information, Detailed Parcel Information, Crop History Map, Soil Survey Productivity Data, and more.

Research Parcel Information

Directions

I-5 Exit 72, west to Rush Rd. South on Rush Rd through town. Right at light, Washington. Right on 3rd to Grand Ave. NE corner of 6th and Grand.

Resources

Links
Property Website
Contact Seller
Century 21 Lund, Realtors

Chehalis, WA

(360) 525-2651