Sign up
Log in
Results
View all 1 pictures

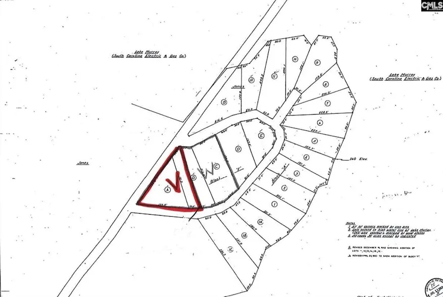
0.81 acres in Lexington County, SC

Great Opportunity to build your dream home in a quiet secluded Lake Murray community. These large lots are conveniently located close to shopping and entertainment. Zoned for award-winning Chapin Lexington / Richland 5 Schools. Plat and information provided is subject to change with new and updated surveys of properties. Documents supplied for exhibits only, and subject to change. These lot will have HOA, ARB and minimum requirements. See attached documents for covenants and restrictions. We strongly suggest you hire a soil engineer for DHEC septic permit approval. Disclaimer: CMLS has not reviewed and, therefore, does not endorse vendors who may appear in listings.

From elevation to risk assessment

Search for detailed parcel information including; Elevation & Vegetation Maps, Ownership Information, Detailed Parcel Information, Crop History Map, Soil Survey Productivity Data, and more.

Research Parcel Information

Directions

From Chapin to Amick's Ferry, then take Amick's Ferry to Lake Tide. Left on Greengarden. Available properties on Left and Right.

Contact Seller
Southern Visions Realty I LLC

Lexington, SC

(803) 887-0516

Provided By

Southern Visions Realty I LLC, (803) 887-0516
Source: MLS# 600899
Listing last updated: October 31, 2025 at 7:38 AM
Report this listing

More by W Rhett Kelly