Sign up
Log in
Results
View all 1 pictures
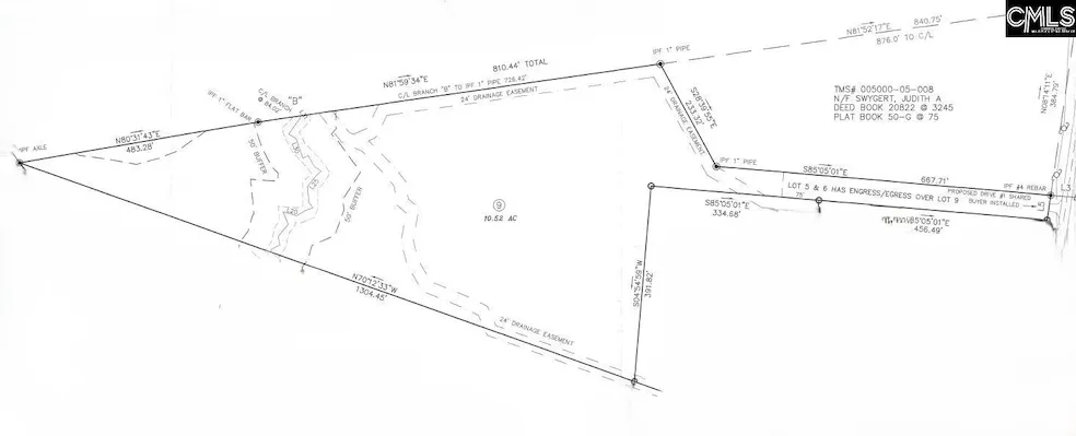
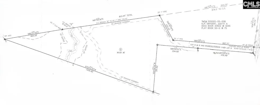
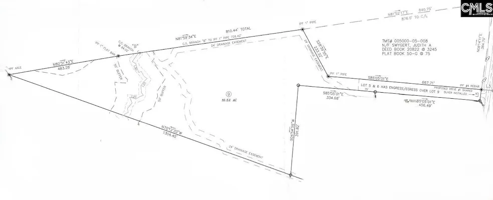
Size: 10.52 Acres
Type: Land

10.5 acres in Lexington County, SC

Lot number 9 consists of a 10.52 acre parcel being offered as part of a 9 lot development of large lots. Beautiful, wooded lot offering privacy and space! Conveniently located 1 mile off of Hwy 1 near the new Lexington West County offices. New water line installed at road should be active in the coming months. Lot sizes and lines subject to change based on jurisdictional approvals. Light restrictions will apply. No manufactured homes. Buyer or Buyer s builder will be responsible for meeting county requirements for stormwater control per lot. Engineer of record is shown on survey. Portion of TMS 00500005009 Owner/Agent. Disclaimer: CMLS has not reviewed and, therefore, does not endorse vendors who may appear in listings.

From elevation to risk assessment

Search for detailed parcel information including; Elevation & Vegetation Maps, Ownership Information, Detailed Parcel Information, Crop History Map, Soil Survey Productivity Data, and more.

Research Parcel Information

Directions

Hwy 1 toward Batesburg Leesville. Right on Old Field Rd. Property on Left.

Contact Seller

Southern Visions Realty I LLC

Lexington, SC

(803) 219-2082

Reggie S Enlow

Southern Visions Realty I LLC
View Phone Number
i
By clicking the button, you agree to our Terms of Use and Privacy Policy.