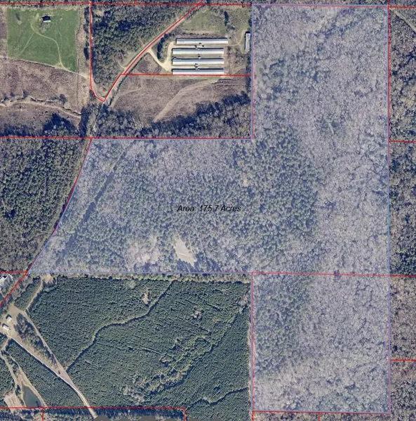
175 acres of prime hunting land, home to deer, turkey, squirrel, wood and mallard ducks, coons, bobcats, coyotes, and dove. Over 30 years have gone into cultivating this Eden for hunters. The property features an extensive road system and multiple food plots for year-round planting, ensuring a continuous game supply. Stowe Creek runs through the bottom of the land for mile, adding beauty and a water source for wildlife. The majority of the land is covered in mature pine and hardwood trees, ready for harvest. There is a 40 x 80 level pad already prepared for a camp or home, complete with water access. Several deer stands, feeders, a 4x4 tractor with a front loader, and other equipment are included in the purchase. This property offers both recreational and investment opportunities for any outdoors enthusiast. Whether you're looking to hunt, build your dream getaway, or manage timber, thi...
175 acres of prime hunting land, home to deer, turkey, squirrel, wood and mallard ducks, coons, bobcats, coyotes, and dove. Over 30 years have gone into cultivating this Eden for hunters. The property features an extensive road system and multiple food plots for year-round planting, ensuring a continuous game supply. Stowe Creek runs through the bottom of the land for mile, adding beauty and a water source for wildlife. The majority of the land is covered in mature pine and hardwood trees, ready for harvest. There is a 40 x 80 level pad already prepared for a camp or home, complete with water access. Several deer stands, feeders, a 4x4 tractor with a front loader, and other equipment are included in the purchase. This property offers both recreational and investment opportunities for any outdoors enthusiast. Whether you're looking to hunt, build your dream getaway, or manage timber, this property provides it all. Call Pam Jones today for more information and to schedule a showing!
Search for detailed parcel information including; Elevation & Vegetation Maps, Ownership Information, Detailed Parcel Information, Crop History Map, Soil Survey Productivity Data, and more.
Research Parcel Information