Sign up
Log in
Results
View all 3 pictures

0 acres in Livingston Parish, LA

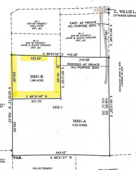
This One full acre MLS# 2506852, is square in shape located at the end of Willie Lane off of Off of Palmer lane between HWY 42 and Watts Rd. Survey is attached. Mobile homes are allowed. Nearby .56 acre lot 19046 Willie ln is also listed for sale separately - JM-1 on the attached survey. This 1 acre parcel sits a south of the end of Willie Lane and is not immediately adjacent to the .56 acre parcel, but is nearby. The 1 acre measures 221 x 222 x 200 x 191. Cleared. Nearby .56 acre lot is also for sale MLS # 2506899. Seller is in the process of having it SURVEYED and bush hogged - buyer will have a clearly defined lot boundary and it will be ready for you to occupy.

From elevation to risk assessment

Search for detailed parcel information including; Elevation & Vegetation Maps, Ownership Information, Detailed Parcel Information, Crop History Map, Soil Survey Productivity Data, and more.

Research Parcel Information
Contact Seller

Thrive Real Estate LLC

METAIRIE, LA

(225) 438-8139

Provided By

Thrive Real Estate LLC, (225) 438-8139
Source: Homes, MLS# 2506852
Listing last updated: August 26, 2025 at 6:06 AM
Listing last checked: December 5, 2025 at 6:01 AM
Report this listing

More by Amanda Bennett