Sign up
Log in
Results
View all 1 pictures

Auction Information

Auction #923
Online, Online, GA
08/22/2020, 08:00 AM

Auction #923

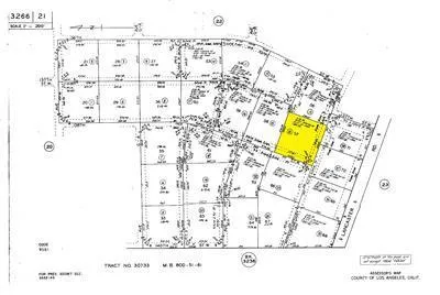
Property will be sold to the highest bidder. APN 3266-021-014. Great opportunity to purchase land near Lancaster. This piece of land is approximately 2.5008 acres in size and is zoned LCA12*. APN 3266-021-013 for sale as well.

From elevation to risk assessment

Search for detailed parcel information including; Elevation & Vegetation Maps, Ownership Information, Detailed Parcel Information, Crop History Map, Soil Survey Productivity Data, and more.

Research Parcel Information
Contact Seller

Provided By

Xome
Listing last updated: February 5, 2022 at 4:36 PM
Report this listing