Sign up
Log in
Results
View all 2 pictures

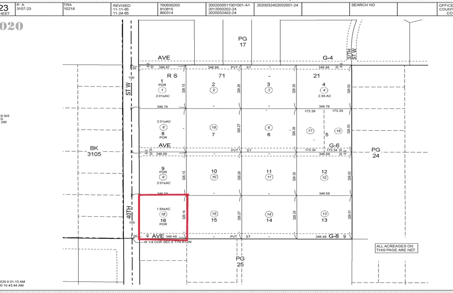
2.22 Acres in Lancaster, CA - $29,900

Commercially zoned property close to major distribution center. West Lancaster is where the action is. Massive commercial and industrial development including Amazon and Ryder Trucks and other national names have bought land and are in the planning stages. This area should take off. This one is in the path of future development. Great investment opportunity. Priced for quick sale. Asking less than 1/2 of what nearby properties have sold for. Level land at the northeast corner of 40th Stw and Avenue G8. Major freeway on and off ramps at both Avenue G and Avenue H less than 2 mile away.

From elevation to risk assessment

Search for detailed parcel information including; Elevation & Vegetation Maps, Ownership Information, Detailed Parcel Information, Crop History Map, Soil Survey Productivity Data, and more.

Research Parcel Information

Directions

From the 14 fwy exit either Avenue H or Avenue G to 40th Stw the to Avenue G8

Environmental Factors

Flood Factor ™
/ 10
Fire Factor ™
/ 10
Heat Factor ™
/ 10
Wind Factor ™
/ 10
Source:First Street

Provided By

0
Listing last updated: August 9, 2024 at 3:52 PM
Report this listing