Sign up
Log in
Results
View all 6 pictures

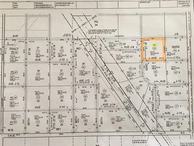
10.01 Acres in Del Sur, CA - $125,000

Great investment property! 10 acres whose north line is Avenue J-8, west line is 92nd ST West. Area has numerous solar projects in various stages of being built. Property is flat & level and soil is hard-pan. No trees or shrubbery, just short grassy vegetation. Great location for solar as it is adjacent to SCE power lines and facility!

From elevation to risk assessment

Search for detailed parcel information including; Elevation & Vegetation Maps, Ownership Information, Detailed Parcel Information, Crop History Map, Soil Survey Productivity Data, and more.

Research Parcel Information
Contact Seller

CENTURY 21 Everest

Valencia, CA

(661) 705-0700