Sign up
Log in
Results
View all 1 pictures

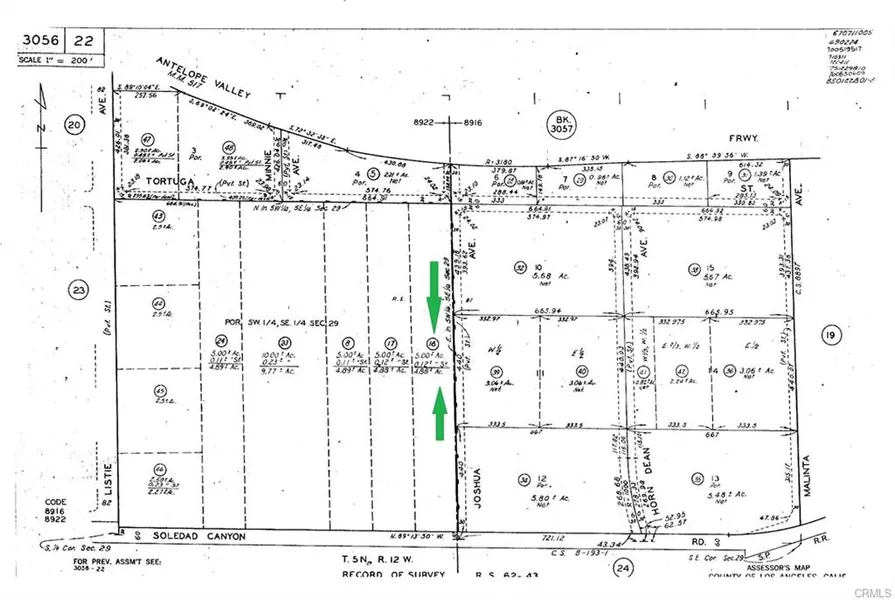
4.94 Acres in Acton, CA - $426,000

Land in Action, California. Parcel number is 3056-022-016 ,and land lot size is over 215,000 square feet. Buyer may look in with Los Angeles county for possible build direction into four homes, property does have street access along entire length of land. Some background information of this equestrian/ranch community is: the average home price is $600-$700,000 compared to Los Angeles average soaring above $750,000, the distance to Los Angles is less than fifty miles, the nearby colleges, Glendale and College of the Canyons are both about 25 miles away, the hospitals in Palmdale are about 15 miles away. No reports available. Newer home developments are forming. Located south of the Antelope Freeway; close to Santiago and Soledad Canyon Roads. Questions or directions will responded to. Latitude and longitude coordinates are 34.483010,-118.154368

From elevation to risk assessment

Search for detailed parcel information including; Elevation & Vegetation Maps, Ownership Information, Detailed Parcel Information, Crop History Map, Soil Survey Productivity Data, and more.

Research Parcel Information
Contact Seller

CENTURY 21 Experience

Alta Loma, CA

(951) 733-3559