Sign up
Log in
Results
View all 1 pictures

2.54 Acres in Fairmont, CA - $12,000

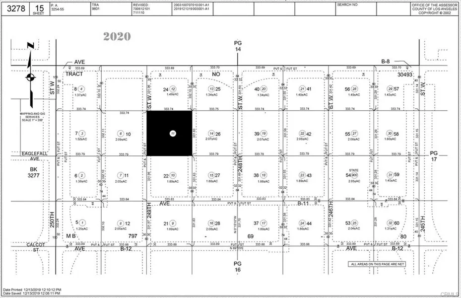
Newly listed land in northwest Los Angeles County, close to the Antelope Valley. This could be the opportunity to be involved in the build your own new home. Land is located in Fairmont (northern Los Angeles County) and it's close to the 138 and 14 Highways. This is a very nice piece of property with lots of mountain views, and driving distance to nearby fishing and boating, and is about an hour from the San Fernando Valley. No seller financing. Buyer to their own investigations of property in its as is, where is, with all conditions. Parcel number is 3278-015-011. Latitude and longitude coordinates are: 34.795027,-118.569589. Nearby homes. Legal description TRACT NO 30493 LOT 23.

From elevation to risk assessment

Search for detailed parcel information including; Elevation & Vegetation Maps, Ownership Information, Detailed Parcel Information, Crop History Map, Soil Survey Productivity Data, and more.

Research Parcel Information
Contact Seller

CENTURY 21 Experience

Alta Loma, CA

(951) 733-3559