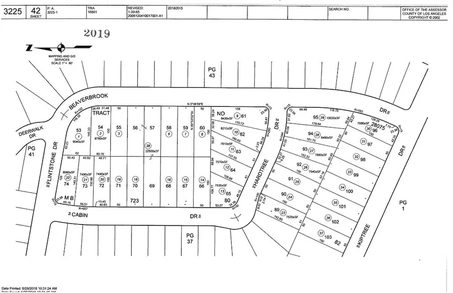
Two attached, side by side lots for sale near developed homes, on paved streets and close proximity to Elizabeth Lake! | Seller prefers to sell both lots together for the asking price displayed is the total price for both lots | Lot 1 (APN# 3225-042-030) on the corner of street is 7,953 sqft per assessor and measures approximately 45 ft wide by 150 ft deep per Realist property profile page | Lot 2 (APN# 3225-042-031) to the west / left of corner lot 1 and is 7,493 sq ft & measure approximately 50 ft wide and 150 ft deep per Realist property profile page | Combined the lots measure out to 95 ft wide and 150 ft deep for a total of 15,446 sqft lot size per Realist property profile | Both lots have a zoning of LCR17500 and labeled as Residential Lots per Realist property profile page | There are developed homes right behind and close to the lots with electricity poles across the s...
Two attached, side by side lots for sale near developed homes, on paved streets and close proximity to Elizabeth Lake! | Seller prefers to sell both lots together for the asking price displayed is the total price for both lots | Lot 1 (APN# 3225-042-030) on the corner of street is 7,953 sqft per assessor and measures approximately 45 ft wide by 150 ft deep per Realist property profile page | Lot 2 (APN# 3225-042-031) to the west / left of corner lot 1 and is 7,493 sq ft & measure approximately 50 ft wide and 150 ft deep per Realist property profile page | Combined the lots measure out to 95 ft wide and 150 ft deep for a total of 15,446 sqft lot size per Realist property profile | Both lots have a zoning of LCR17500 and labeled as Residential Lots per Realist property profile page | There are developed homes right behind and close to the lots with electricity poles across the street visible | Buyer to verify all sewer/septic, water, power, gas and any & all utility services availability to their own satisfaction through the city | Buyer to verify with city any and all potential uses of lots to their own satisfaction | Bring your ideas, imagination, contractor and architect to view this great opportunity to get started on the dream project you have always wanted to build!
Search for detailed parcel information including; Elevation & Vegetation Maps, Ownership Information, Detailed Parcel Information, Crop History Map, Soil Survey Productivity Data, and more.
Research Parcel InformationOn the corner of Kiptree Dr and Beaverbrook Dr