Sign up
Log in
Results
View all 1 pictures

Is this your property? Sell it faster with premium placement and targeted ads.

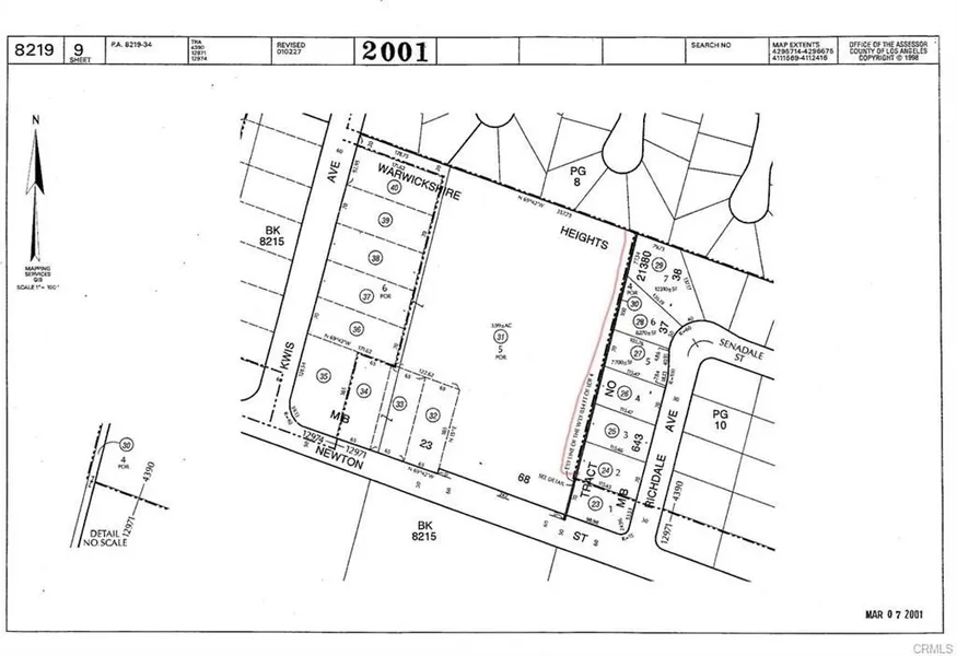
Land/Lot - Hacienda Heights, CA

No access has been verified. Non buildable area. Land Lock! Buyer and Buyer’s Agent are strongly advised to conduct all necessary due diligence to determine the land’s potential use, accessibility, and any development limitations. Property is being sold AS IS.

Lot dimensions are approximately 3 feet x 537 feet. The land is located behind the backyards of homes along Richdale Ave and the neighboring church property.

Copyright © 2025 California Regional Multiple Listing Service, Inc. All rights reserved. All information provided by the listing agent/broker is deemed reliable but is not guaranteed and should be independently verified.

Read More

From elevation to risk assessment

Search for detailed parcel information including; Elevation & Vegetation Maps, Ownership Information, Detailed Parcel Information, Crop History Map, Soil Survey Productivity Data, and more.

Research Parcel Information
Contact Seller

Real Estate Ebroker Inc

License #01869234

San Marcos, CA

(760) 722-3222

Victor Jimenez

Real Estate Ebroker Inc
View Phone Number
By clicking the button, you agree to our Terms of Use and Privacy Policy.

Is this your property? Sell it faster with premium placement and targeted ads.

Provided By

Real Estate Ebroker Inc, (760) 722-3222
Source: ListHub, MLS# PW25121613
Listing status: Active
Listing last updated: November 14, 2025 at 2:38 AM
Listing last checked: November 13, 2025 at 10:30 PM
Report this listing

Other Land for Sale in Los Angeles County