Sign up
Log in
Results
View all 5 pictures

0 River Birch Lot 30 Drive, Edwardsville, IL, 62025

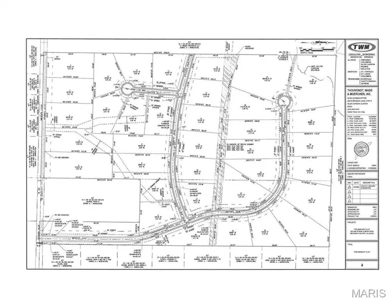
Cedar Ridge Subdivision is a premier opportunity for rural living close to town. It encompasses 96 acres and features 36 generously sized lots ranging from 2 to 4.5 acres. Strategically located in incorporated Madison County off Old Carpenter Road, Cedar Ridge is just 1.5 miles from city limits, offering the perfect blend of convenient access to town and the privacy of expansive lots in a rural setting.

Cedar Ridge will offer top-notch amenities, including asphalt streets, curbs and drainage gutters, streetlights, and sidewalks, ensuring a high-quality living experience for all residents. The project engineer has dubbed it a "Cadillac Rural Subdivision" of Edwardsville. Don't miss your chance to turn your home-building dreams into reality, contact your favorite agent today! For more information about this development, visit Additional Rooms: In Platted Subdv.

Read More

From elevation to risk assessment

Search for detailed parcel information including; Elevation & Vegetation Maps, Ownership Information, Detailed Parcel Information, Crop History Map, Soil Survey Productivity Data, and more.

Research Parcel Information

Environmental Factors

Flood Factor ™
/ 10
Fire Factor ™
/ 10
Heat Factor ™
/ 10
Wind Factor ™
/ 10
Source:First Street
Contact Seller

Coldwell Banker Brown Realtors

Edwardsville, IL

(618) 202-9181

Ashley Crays

Coldwell Banker Brown Realtors
View Phone Number
By clicking the button, you agree to our Terms of Use and Privacy Policy.

Provided By

Coldwell Banker Brown Realtors, (618) 202-9181
Source: Coldwell Banker, MLS# 24073188
Listing last updated: January 12, 2026 at 1:41 PM
Listing last checked: January 12, 2026 at 1:31 PM
Report this listing

Other Land for Sale in Madison County