Sign up
Log in
Results
View all 1 pictures

5.54 Acres in Canfield, OH - $99,900

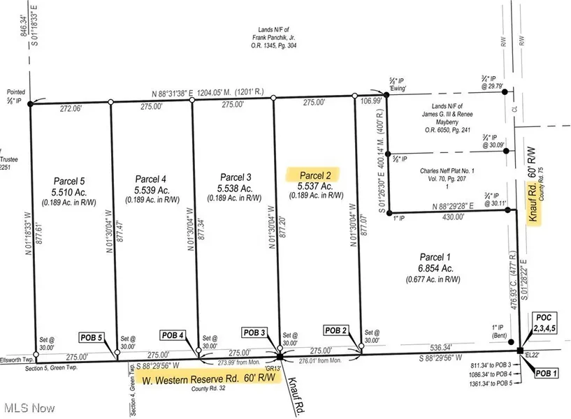
Wooded 5.537 acre lot in Ellsworth Township is ready for your dream home. Located in the Western Reserve Local School District, buyer responsible for soil testing and due diligence in regards to local zoning requirements. 275' of frontage on Western Reserve Rd across from Knauf Rd.

From elevation to risk assessment

Search for detailed parcel information including; Elevation & Vegetation Maps, Ownership Information, Detailed Parcel Information, Crop History Map, Soil Survey Productivity Data, and more.

Research Parcel Information
Contact Seller

CENTURY 21 Lakeside Realty

License #2014000474

Youngstown, OH

(330) 793-4200

Provided By

CENTURY 21 Lakeside Realty, (330) 793-4200
Source: Century 21, MLS# 5123804
Listing last updated: September 11, 2025 at 7:30 PM
Listing last checked: December 1, 2025 at 11:30 AM
Report this listing

Other Land for Sale in Mahoning County