Sign up
Log in
Results
View all 8 pictures

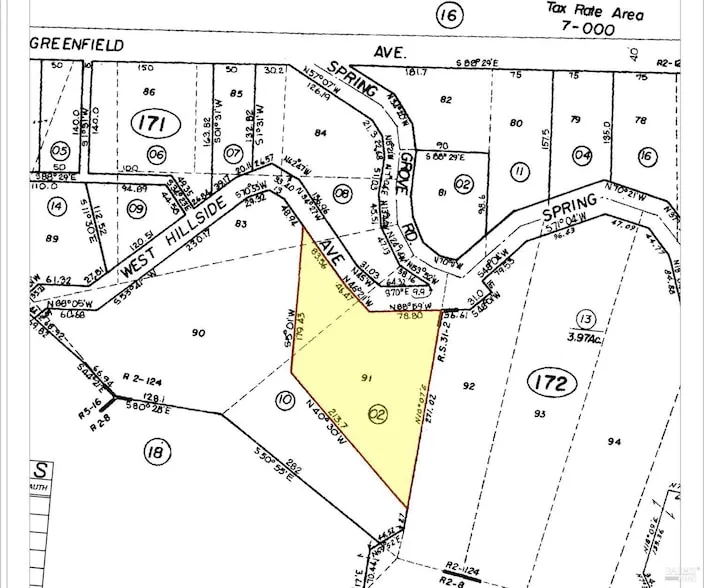
0.91 acres in Marin County, CA

Rare opportunity to buy almost an acre lot and build your dream home. Close to the shops and restaurant in downtown San Anselmo and San Rafael. Centrally located, approximately 2 miles to HYW 101 and College of Marin. Note: Highlighted boundary lines shown on images are approximate.

From elevation to risk assessment

Search for detailed parcel information including; Elevation & Vegetation Maps, Ownership Information, Detailed Parcel Information, Crop History Map, Soil Survey Productivity Data, and more.

Research Parcel Information

Directions

From San Anselmo, East on Miracle Mile, Right on Spring Grove Ave, Right on W Hillside Ave

Contact Seller

North Point Real Estate

San Francisco, CA

(415) 942-0529

Oggi Kashi

North Point Real Estate
View Phone Number
By clicking the button, you agree to our Terms of Use and Privacy Policy.

Provided By

North Point Real Estate, (415) 942-0529
Source: Homes, MLS# 325057802
Listing last updated: December 19, 2025 at 6:35 AM
Listing last checked: December 18, 2025 at 6:01 AM
Report this listing

More by Oggi Kashi