Is this your property? Sell it faster with premium placement and targeted ads.
Lot 7:This is an industrial building lot that offers great potential for commercial ventures. Situated in a prime location, this lot provides ample space for establishing an industrial facility. With a sizeable area and convenient access, it presents an excellent opportunity for various industrial operations. Its strategic position makes it an ideal choice for businesses seeking a centralized location. This building lot is poised to accommodate the needs of diverse industries, making it a promising investment for those seeking to establish or expand their industrial ventures. These lots have been designed so the City of Marshalltown's storm water detention requirement is met off-site through a City installed, owned, and maintained storm water regional retention basin. The City's requirements for storm water detention, will not be required on these lots. Additional information provided up...
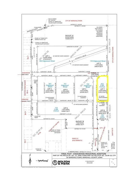
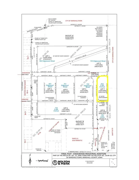
Lot 7:This is an industrial building lot that offers great potential for commercial ventures. Situated in a prime location, this lot provides ample space for establishing an industrial facility. With a sizeable area and convenient access, it presents an excellent opportunity for various industrial operations. Its strategic position makes it an ideal choice for businesses seeking a centralized location. This building lot is poised to accommodate the needs of diverse industries, making it a promising investment for those seeking to establish or expand their industrial ventures. These lots have been designed so the City of Marshalltown's storm water detention requirement is met off-site through a City installed, owned, and maintained storm water regional retention basin. The City's requirements for storm water detention, will not be required on these lots. Additional information provided upon request.
Copyright © 2025 NoCoast MLS. All rights reserved. All information provided by the listing agent/broker is deemed reliable but is not guaranteed and should be independently verified.
Search for detailed parcel information including; Elevation & Vegetation Maps, Ownership Information, Detailed Parcel Information, Crop History Map, Soil Survey Productivity Data, and more.
Research Parcel InformationIs this your property? Sell it faster with premium placement and targeted ads.