Sign up
Log in
Results
View all 6 pictures
Available
$30,000

Gridley, IL 61744(McLean County)

Size: 0.32 Acres

Is this your property? Sell it faster with premium placement and targeted ads.

LAND - Gridley, IL

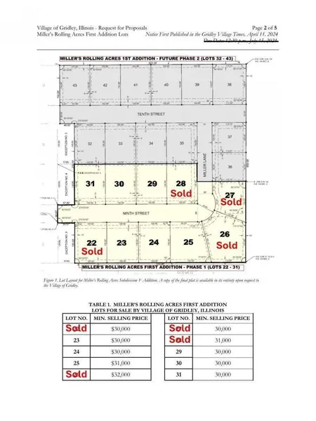
Lot 31: 1/3 Acre Lot available in new subdivision in NE Gridley - Miller's Rolling Acres First Addition. This is a great opportunity to build your custom dream home, using your favorite builder! Subdivision is located in the El Paso-Gridley School District with access to Village parks and public pool. Another amazing perk for the Village is golf carts are allowed within the city limits. All utilities are available to the building site. Call/Text George & Willow Gramm for more information and a tour of the Village of Gridley!

Copyright © 2026 Midwest Real Estate Data, LLC. All rights reserved. All information provided by the listing agent/broker is deemed reliable but is not guaranteed and should be independently verified.

Read More
Contact Seller

RE/MAX Choice

License #475132109

Bloomington, IL

(309) 664-8500

Willow Gramm

RE/MAX Choice
View Phone Number
i
By clicking the button, you agree to our Terms of Use and Privacy Policy.

Is this your property? Sell it faster with premium placement and targeted ads.

Provided By

RE/MAX Choice, (309) 664-8500
Source: ListHub, MLS# 12512929
Listing status: Active
Listing last updated: January 20, 2026 at 11:35 AM
Listing last checked: January 20, 2026 at 11:30 AM
Report this listing

Other Land for Sale in McLean County