Sign up
Log in
Results
View all 3 pictures
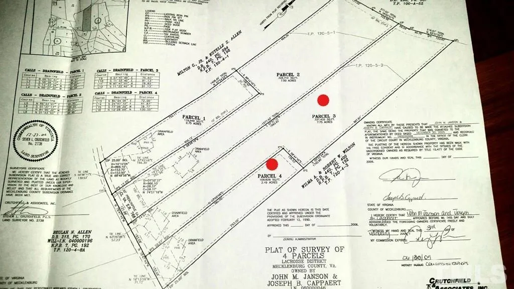
Size: 10.24 Acres

10.24 Acres in Blackridge, VA - $59,900

Don't miss this opportunity to obtain over 10 acres (10.24) close to South Hill and I85. This property includes two separate parcels. Parcel# 3 is 7.75 acres and Parcel# 4 is 2.49 acres. Owner Financing may be available to a qualified buyer. Explore the possibilities to stretch out yet still be close to Town.

From elevation to risk assessment

Search for detailed parcel information including; Elevation & Vegetation Maps, Ownership Information, Detailed Parcel Information, Crop History Map, Soil Survey Productivity Data, and more.

Research Parcel Information

Environmental Factors

Flood Factor ™
/ 10
Fire Factor ™
/ 10
Heat Factor ™
/ 10
Wind Factor ™
/ 10
Source:First Street
Contact Seller

Coldwell Banker Advantage

Littleton, NC

(252) 202-8686