Sign up
Log in
Results
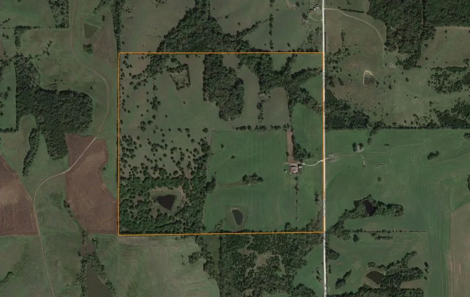
View all 2 pictures
Size: 137.27 Acres

Excellent Hunting and Income

Phenomenal deer and turkey hunting in the heart of Mercer County, Missouri.

Property Features

Read More

From elevation to risk assessment

Search for detailed parcel information including; Elevation & Vegetation Maps, Ownership Information, Detailed Parcel Information, Crop History Map, Soil Survey Productivity Data, and more.

Research Parcel Information

Resources

Links
Property Website
Contact Seller
Midwest Land Group

Cainsville, MO

(816) 914-3053

Provided By

Midwest Land Group, (816) 914-3053
Source: MLS# Mercer 137.27
Listing last updated: March 28, 2023 at 6:10 AM
Report this listing

More by David Brothers