Sign up
Log in
Results
View all 1 pictures

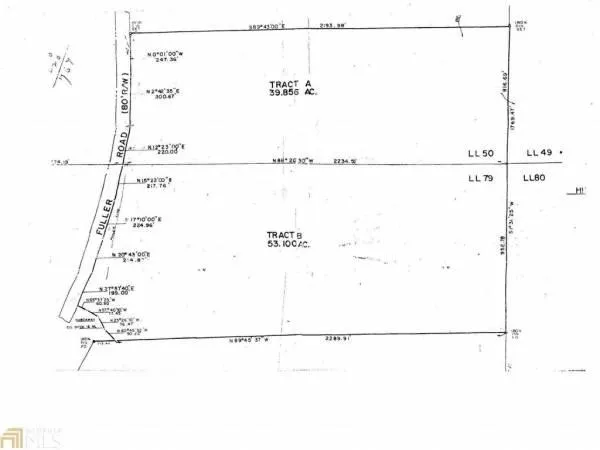
0 Charlie Fuller, Luthersville, GA 30251

BEAUTIFUL LAND READY FOR BUILDING OR RECREATION. CURRENTLY BEING USED FOR HUNTING. APPROX. 93 ACRES

From elevation to risk assessment

Search for detailed parcel information including; Elevation & Vegetation Maps, Ownership Information, Detailed Parcel Information, Crop History Map, Soil Survey Productivity Data, and more.

Research Parcel Information
Contact Seller

Josey Young & Brady Realty

Newnan, GA

(770) 328-3659