Sign up
Log in
Results
View all 3 pictures

Is this your property? Sell it faster with premium placement and targeted ads.

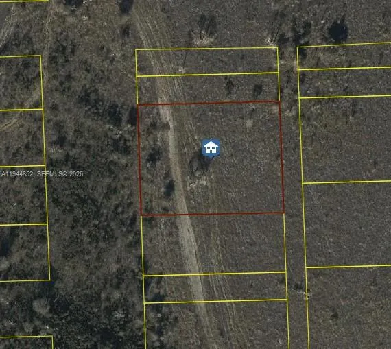
0.29 Acres in Miami, FL - $49,000

Buy and Hold opportunity for future development. This is a double lot. For precise zoning details and potential uses, please consult the Miami-Dade Building and Zoning Department and DERM. No access roads are available. Seller is assigning contract and selecting Floridian Title Company for closing. Seller has no information related to the property. Title insurance and costs will be paid by Seller. Priced for a quick sale.

From elevation to risk assessment

Search for detailed parcel information including; Elevation & Vegetation Maps, Ownership Information, Detailed Parcel Information, Crop History Map, Soil Survey Productivity Data, and more.

Research Parcel Information
Contact Seller

Coldwell Banker Realty

Coral Gables, FL

(305) 431-5594

Elizabeth Cooper Garcia

Coldwell Banker Realty
View Phone Number
By clicking the button, you agree to our Terms of Use and Privacy Policy.

Is this your property? Sell it faster with premium placement and targeted ads.

Provided By

Coldwell Banker Realty, (305) 431-5594
Source: Coldwell Banker, MLS# A11944852
Listing last updated: January 13, 2026 at 5:33 PM
Listing last checked: January 14, 2026 at 3:31 AM
Report this listing

Other Land for Sale in Miami-Dade County