Sign up
Log in
Results
View all 1 pictures

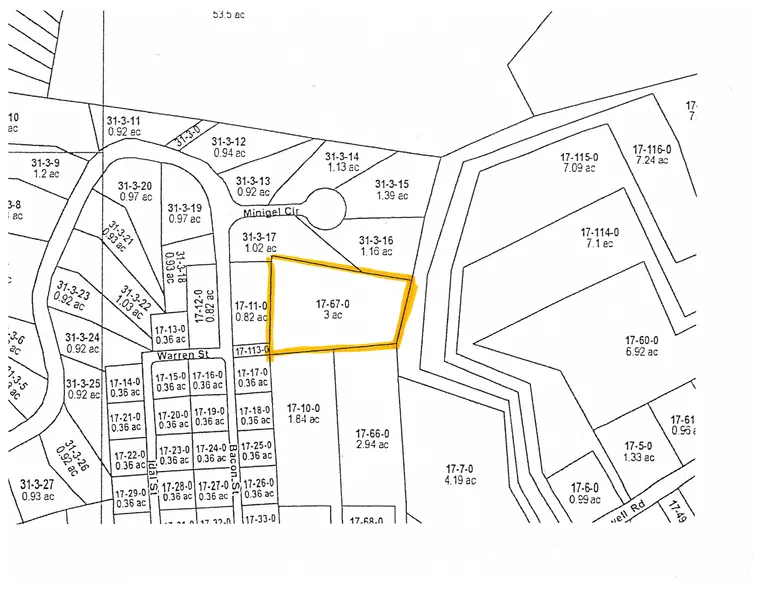
3 Acres in Pepperell, MA - $165,000

Three acre parcel adjacent to new homes in area. Lot is land locked. Town approval required for an easement for road access.

From elevation to risk assessment

Search for detailed parcel information including; Elevation & Vegetation Maps, Ownership Information, Detailed Parcel Information, Crop History Map, Soil Survey Productivity Data, and more.

Research Parcel Information
Contact Seller

Pepperell, MA