Sign up
Log in
Results
View all 7 pictures
Size: 7 Acres

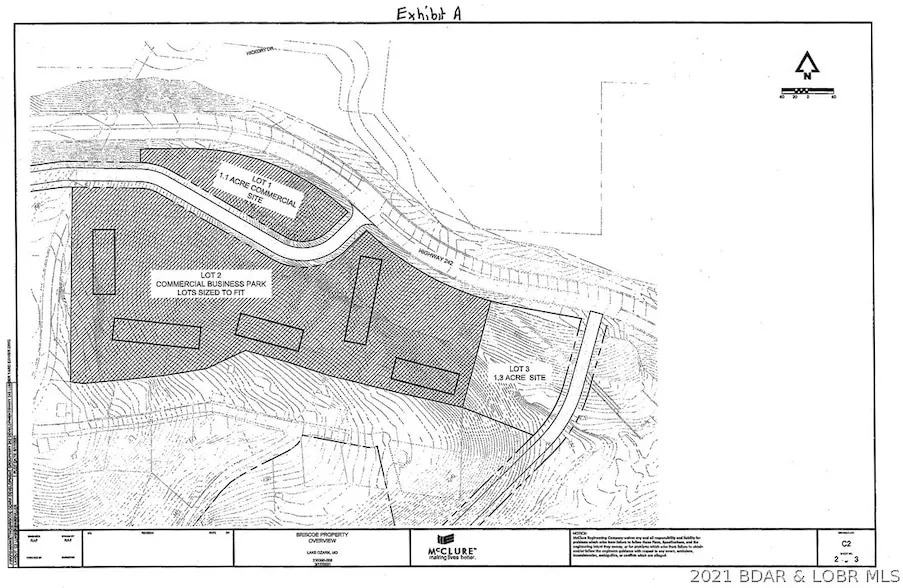
7 acres in Miller County, MO

7 acres zoned commercial with Hwy 242 frontage. Owner to provide a rough graded site fully serviced with infrastructure upon closing. With visibility, the correct zoning, water, sewer and electricity this is the perfect location for a commercial business park or many other commercial ventures. Hwy 242 is the future of Lake Ozark and this spot is centrally located close to Osage Beach Parkway and The Bagnell Dam Strip. Only seconds from Menards, Kohls, the movie theater and everything else yet to be built on Hwy 242. Seller is willing to build to suit with a properly structured deal. Tons of potential for varying business opportunities. If you want visibility and a central location, this 7 acres is something you need to check out. Lot is within the City of Lake Ozarks Tif district.

From elevation to risk assessment

Search for detailed parcel information including; Elevation & Vegetation Maps, Ownership Information, Detailed Parcel Information, Crop History Map, Soil Survey Productivity Data, and more.

Research Parcel Information

Directions

Osage Beach Parkway to left at stop light towards Bagnell Dam Strip. Lot on left just past the new lift station. See plat attached.

Contact Seller
Berkshire Hathaway HomeServices Lake Ozark Realty

License #2002032212

Lake Ozark, MO

(573) 679-4843

Provided By

Berkshire Hathaway HomeServices Lake Ozark Realty, (573) 679-4843
Source: Homes, MLS# 3539806
Listing last updated: December 18, 2024 at 8:37 AM
Listing last checked: December 1, 2025 at 6:01 AM
Report this listing