2 Manufactured Home Lots In Cal Pines Side By Side, Utilities, Near Lodge !
Wow! Super Find! Two Manufactured Home Lots in California Pines to bring your mobile home and plug in! This area has a ton of natural attractions and is in many ways an outdoor paradise. There is a ton of public land in the area, and even wild horses. These properties are around the corner from the Cal Pines Lodge and the end of the subdivision there is access to 2,000,000 Acre Modoc National Forest. Lots to see and do up in this area; make this your hunting base !
State: California
County: Modoc
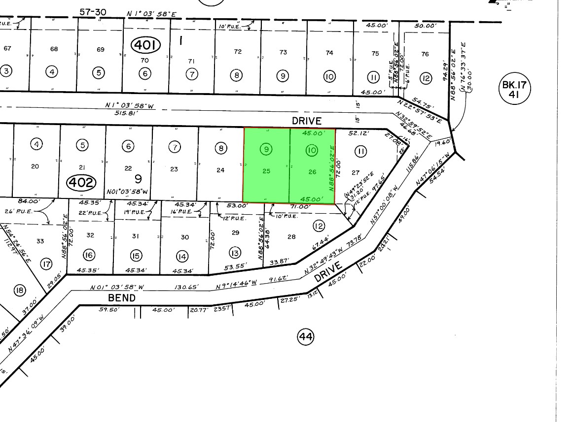
Legal: LOTs 24+25, Block 9, California Pines Lake Mobile Home Park Unit 1
Size: 0.15 Acre (6328 Sq. Ft.)
Zoning: Residential
Camping: Recreational Camping Is Allowed
Power: Available At Box (See Photos, Buyer To Verify)
Water: Cal Pines CSD Water In Road (Buyer To Verify)
Sewer: Cal Pines CSD Sewer In Road (...
Sewer: Cal Pines CSD Sewer In Road (Buyer to Verify)
Each Lot is Approximately 45 X 75
Please Note: You cant just park a motorhome and live on the property, you would need to Do It Right, and get permits from Modoc County.
5500 Cash OR
Landed Ground Financing: 200 Down And 106.71/Month For 60 Months At 7.7% Interest
Read More About Our Financing On Our Website.
Cal Or Message Us Now To Get Started Owning This Great Property!
Search for detailed parcel information including; Elevation & Vegetation Maps, Ownership Information, Detailed Parcel Information, Crop History Map, Soil Survey Productivity Data, and more.
Research Parcel Information