Is this your property? Sell it faster with premium placement and targeted ads.
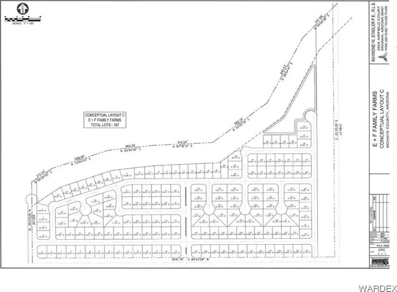
This beautiful property has a conceptual plan for a 64-acre subdivision. We have had a pre-meeting with Mohave County planning and zoning along with FEMA regarding what will be needed to bring this project forward. Mohave Engineering in Kingman Arizona is the firm that has put the plan together and has worked with us through the government process. Here is a little information about Kingman Arizona. Kingman has affordable housing and land, and property values are going up each year. Kingman is a safe place to live. The violent crime rate in Kingman is well below average with a rate of 378 incidents per 100,000 people. This compares with a rate of 570 in Arizona and a rate of 596 nationally. Manufacturing. Kingman is home to one of the Largest and diverse Industrial Manufacturing Parks. Kingman is a city along Route 66, in northwestern Arizona. The historic road's role in American history...
This beautiful property has a conceptual plan for a 64-acre subdivision. We have had a pre-meeting with Mohave County planning and zoning along with FEMA regarding what will be needed to bring this project forward. Mohave Engineering in Kingman Arizona is the firm that has put the plan together and has worked with us through the government process. Here is a little information about Kingman Arizona. Kingman has affordable housing and land, and property values are going up each year. Kingman is a safe place to live. The violent crime rate in Kingman is well below average with a rate of 378 incidents per 100,000 people. This compares with a rate of 570 in Arizona and a rate of 596 nationally. Manufacturing. Kingman is home to one of the Largest and diverse Industrial Manufacturing Parks. Kingman is a city along Route 66, in northwestern Arizona. The historic road's role in American history is celebrated at the Route 66 Museum, set inside the Powerhouse Visitors Center. Murals, dioramas and a library at the Mohave Museum of History and Arts trace local history. Locomotive Park, featuring a 1928 steam engine, and the Kingman Railroad Museum document the city's past as a 20th-century railway hub.
Copyright © 2025 Western Arizona Realtors Data Exchange. All rights reserved. All information provided by the listing agent/broker is deemed reliable but is not guaranteed and should be independently verified.
Search for detailed parcel information including; Elevation & Vegetation Maps, Ownership Information, Detailed Parcel Information, Crop History Map, Soil Survey Productivity Data, and more.
Research Parcel InformationIs this your property? Sell it faster with premium placement and targeted ads.