Sign up
Log in
Results
View all 24 pictures
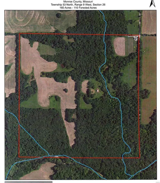
Size: 160 Acres
Home: 3 beds - 1 full bath - 960 Sq Ft

160 Acres in Mexico, MO - $899,995

One of a kind...Outdoors paradise. Recreational land with income and lodging with option of being "turn key". Below recent appraisal. Great location approx. 15 minutes from 17000+ acre Mark Twain Lake and 1.5 hrs. from Wentzville. Electric and public water on site. Opportunity for that hedge against inflation where memories can be made! 3bed/1 bath shouse on 160m/l acres of prime NE MO whitetail habitat. This property is being offered as is with no repairs. Miles of edge cover, marketable timber, food plots, water, and established deer stands. Approx 33 acres rented for row cropping. 4.28 acres in CRP until 2030. Owner/Agent. 2 additional outbuildings.

From elevation to risk assessment

Search for detailed parcel information including; Elevation & Vegetation Maps, Ownership Information, Detailed Parcel Information, Crop History Map, Soil Survey Productivity Data, and more.

Research Parcel Information

Environmental Factors

Flood Factor ™
/ 10
Fire Factor ™
/ 10
Heat Factor ™
/ 10
Wind Factor ™
/ 10
Source:First Street
Contact Seller

Coldwell Banker Realty - Gundaker

Lake Saint Louis, MO

(314) 680-8029